1/4


Αγροτεμάχιο προς Πώληση
€ 14.950
Τελευταία ενημέρωση: 22/01/2026
Περιγραφή
κωδικός: 5311
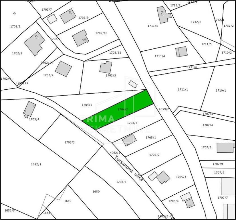
Prodaje se poljoprivredno zemljište širine cca 13 m x 52 m, površine 673 m2, između dvije ceste,.
ID CODE: 5311
Χαρακτηριστικά
- Συμβόλαιο
- Πώληση
- Τύπος
- Αγροτεμάχιο
- Εμβαδόν
- 673 m²
Πληροφορίες τιμής
- Τιμή
- € 14.950
- Τιμή ανά m²
- 22 €/m²
Σχέδιο ακινήτου

Ανακαλύψτε κάθε γωνιά του ακινήτου
Πρόσθετες επιλογές