map icon

Οικοδομήσιμο οικόπεδο προς Πώληση

Barban
€ 84.000
1.329 m²

Σημείωση

Τελευταία ενημέρωση: 18/11/2025
Περιγραφή

κωδικός: IS1515193

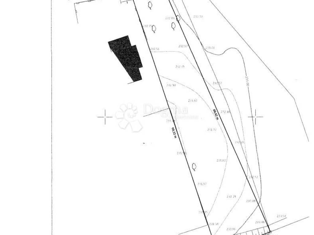
Građevinsko zemljište pogodno za gradnju obiteljske kuće ili kuće za odmor, 300 m od samog centra Barbana.

Barban je općinsko sjedište smješteno uz državnu cestu Rijeka-Pula, udaljeno 4 km od mora, 20km od zračne luke,
25km od grada Pule, poznato po Trci na Prstenac, viteškoj igri koja je simbol mjesta.

Zemljište se nalazi u mirnom dijelu, na rubu ali unutar građevinske zone.

Struja, voda, telefon i kanalizacija uz samu parcelu. Optički tt kabel u neposrednoj blizini.
Prilaz direktno sa asfaltirane ceste.

Izrađen je Geodetski situacijski nacrt kao podloga za projektiranje.
Mogućnost gradnje obiteljske kuće ili višeobiteljske građevine, P+2.
Maksimalna izgradivost zemljišta - 30 %.

Sadržaji u neposrednoj blizini (na samo tristotinjak metara):
Trgovina, vrtić, osnovna škola, glazbena škola, višenamjenska sportska dvorana u sklopu škole, dječja i sportska igrališta,
nogometno igralište, pošta, crkva, ambulanta opće prakse, ljekarna, ured turističke zajednice, kafić, restoran, konoba,
fast food, pizzeria, agrarija, konjički centar, u okolici adrenalinski park i uređene pješačke i biciklističkestaze.

ID KOD AGENCIJE: IS1515193

Sandra Miletić
Agent s licencom
Mob: 091/988-5843
Tel: 052/639-276
E-mail: sandra.miletic@dogma-nekretnine.com
www.dogma-nekretnine.com
Εάν θέλετε να μάθετε περισσότερα, μπορείτε να μιλήσετε με Sandra Miletić.
Χαρακτηριστικά
Συμβόλαιο
Πώληση
Τύπος
Οικοδομήσιμο οικόπεδο
Εμβαδόν
1.329 m²
Πληροφορίες τιμής
Τιμή
€ 84.000
Τιμή ανά m²
63 €/m²
Ανακαλύψτε κάθε γωνιά του ακινήτου
+4
Πρόσθετες επιλογές

Επικοινώνησε με τον αγγελιοδότη

Ή