Building land for Sale

€ 267,000
1,335 m²

Note

Listing updated on 02/05/2026
Description

This description has been translated automatically and may not be accurate

reference: E4034

Rijeka, Bivio, above Hilton Costabella Hotel, land 1.335 m2

Rijeka – Bivio / Turanj – above Hilton Costabella Hotel

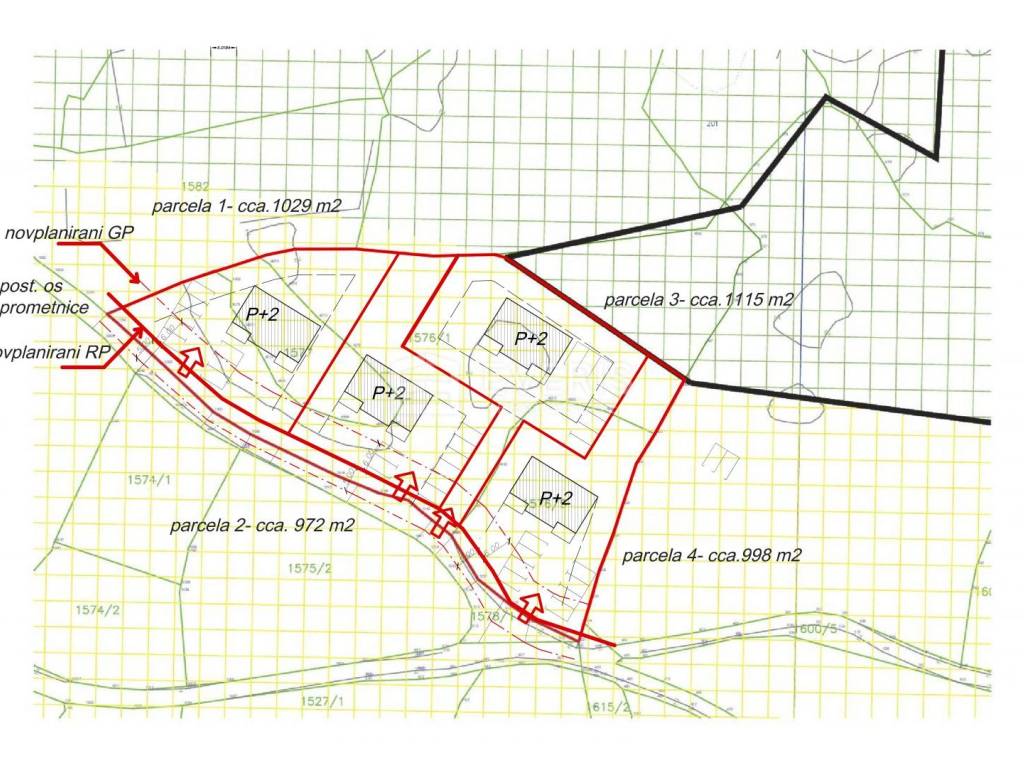
Building land of 1,335 m2 held as a co-ownership share of 104/400 of the total land area of 5,134 m2.

For sale is an attractive building plot with a total area of 1,335 m2, located in the sought-after and peaceful area of Bivio – Turanj, in the western part of Rijeka, just 800 m by road from Hilton Costabella Hotel.

Land structure:

* approx. 1,135 m² is within the building zone
* approx. 197 m² is within a green belt, providing additional privacy and exclusivity

Important note:

The Urban Development Plan (UPU) Turanj – Costabella is currently under preparation.
Until the UPU is adopted, it is not possible to apply for a building permit. Once adopted, construction conditions for the land will be precisely defined.

Subdivision (parcelation):

Subdivision of the land can be carried out after the adoption of the UPU.
If the buyer expresses interest in subdivision prior to signing the sale agreement, the buyer will define the desired portion of land. The proposed subdivision will be implemented subject to the consent of all co-owners, in accordance with applicable regulations.
All co-owners are interested in proceeding with subdivision.

Price:

The land is priced at €200 / m²*.

Intended use & potential:

The land is particularly suitable for:

* construction of a representative luxury villa, due to the quiet micro-location and high level of privacy
* multi-residential development, should the future UPU allow it

Infrastructure:

* secured access road
* water supply
* electricity
* Sewerage is not currently available. In cooperation with the municipal utility company Vodovod i kanalizacija (VIK), it will be necessary to construct approximately 70 m of sewer line after the adoption of the UPU, unless the City of Rijeka completes sewerage works in the area by that time.

***Additional purchase option:

There is an option to purchase a larger share of the land, as the other co-owners are also selling their shares at the same price of €200 / m².
The total additional land area available is approximately 4,110 m², of which:

* approx. 3,350 m² is within the building zone
* approx. 760 m² is within the green belt

A listing with full details for purchasing the entire area of approx. 4,110 m² is available on the Everis Nekretnine agency website under listing ID: E1952.

Conclusion:

This property represents a rare opportunity to develop a luxury private residence after the adoption of the Urban Development Plan.

ID CODE: E4034

Želimir Bagić
Agent s licencom
Mob: +385 (91) 5954 045
Tel: +385 (0)91 5954 045
E-mail: z.bagic@everis.hr
https://nekretnine.everis.hr/
Features
Contract
Sale
Type
Building land
Surface
1,335 m²
Price information
Price
€ 267,000
Price per m²
200 €/m²
Discover every corner of the property
+8
Additional options

Contact the advertiser

Or