1/4


Building land for Sale
€ 63,500
Listing updated on 03/14/2026
Description
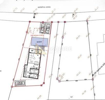
reference: 1190
Land Poljica Brig, Nin, 379m2
ID CODE: 1190
Jelena Kolovrat Lisica
Ovlašteni posrednik
Mob: +385 91 788 2020
E-mail: jelena@esquire.hr
www.esquire.hr
Features
- Contract
- Sale
- Type
- Building land
- Surface
- 379 m²
Price information
- Price
- € 63,500
- Price per m²
- 168 €/m²
Discover every corner of the property
Additional options