Terreno urbanizable en Venta

€ 65.000
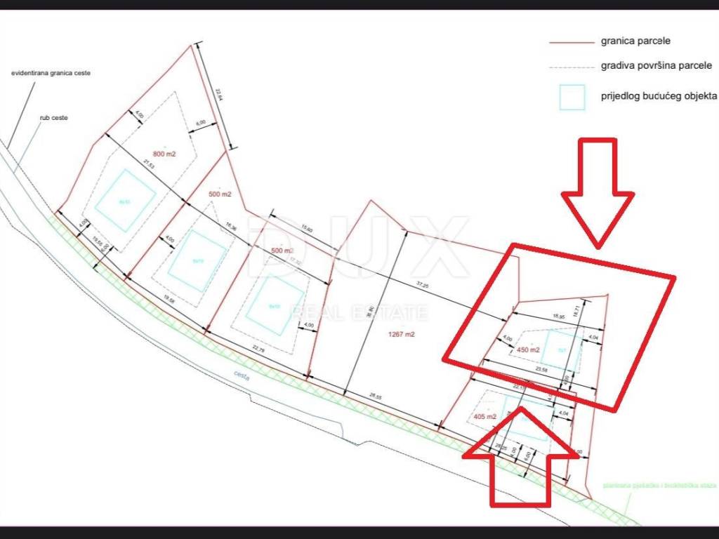
450 m²

Nota

Anuncio actualizado el 14/01/2026
Descripción

referencia: 34893

LOKVE - atraktivno zemljište 450m2 građevinsko) za obiteljsku kuću / villu / apartmane / kuću za iznajmljivanje / kuću za odmor

U mjestu Gorski Raj, na nadmorskoj visini od 780 metara, nalazi se građevinsko zemljište udaljeno svega oko 100 metara od jezera. Parcela ukupne površine 450 m smještena je uz pristupnu cestu, uz koju se nalazi sva potrebna infrastruktura (struja i voda), što omogućuje jednostavnu izgradnju objekta.

Parceli pripada pravo služnosti pješačkog prolaza do jezera, uz mogućnost izvedbe stuba i uređenja pristupa gdje je potrebno, čime je osiguran standardan i praktičan pristup vodi. Prema prostornom planu, u neposrednoj blizini parcele predviđeno je dodatno akumulacijsko jezero, što dodatno povećava atraktivnost lokacije.

Teren se nalazi na mirnoj i tihoj poziciji, idealnoj za život ili odmor u prirodi. Blizina brojnih sadržaja i atrakcija dodatno doprinosi vrijednosti nekretnine: špilja Lokvarka, Omladinsko jezero, Nacionalni park Risnjak, kao i brz pristup autocesti.

Ovo zemljište predstavlja izvrsnu priliku za investitore koji planiraju gradnju apartmana ili kuća za najam, ali i za one koji žele izgraditi kuću za odmor ili obiteljsku kuću u mirnom, prirodnom i privatnom okruženju, samo nekoliko koraka od jezera.

Poštovani klijenti, agencijska provizija naplaćuje se u skladu s Općim uvjetima poslovanja
www.dux-nekretnine.hr/opci-uvjeti-poslovanja

ID KOD AGENCIJE: 34893

Patrik Hrštić
Agent s licencom
Mob: +385 91 270 3979
Tel: +385 91 480 8808
E-mail: patrik@dux-nekretnine.hr
www.dux-opatija.com

Marko Šutanovac
Agent s licencom
Mob: +385 91 189 8332
Tel: +385 91 480 8808
E-mail: marko@dux-nekretnine.hr
www.dux-opatija.com
Si deseas más información puedes hablar con Patrik Hrštić.
Características
Contrato
Venta
Tipología
Terreno urbanizable
Superficie
450 m²
Información del precio
Precio
€ 65.000
Precio del m²
144 €/m²
Descubre otros ángulos del inmueble
+4
Opciones adicionales

Contactar con el anunciante

O