Građevinsko zemljište za Prodaja

€ 100.000
1.134 m²

Bilješka

Oglas ažuriran 26. 01. 2026.
Opis

referenca: ZG558

GRAĐEVINSKO ZEMLJIŠTE S POGLEDOM NA GRAD, OKRUŽENO ZELENILOM

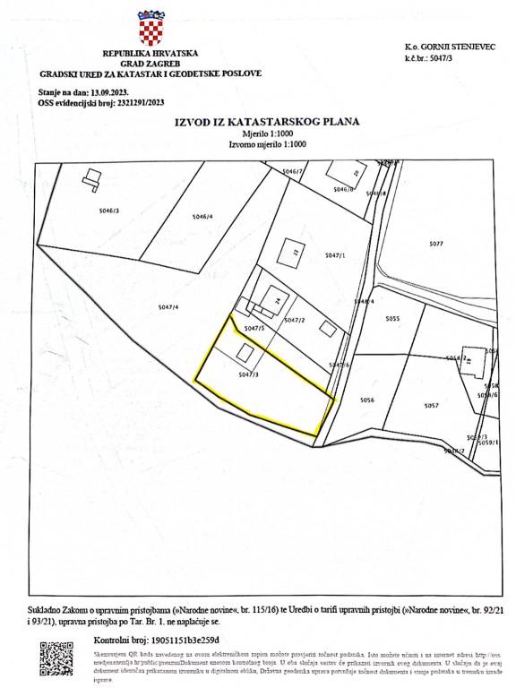
Prodajemo građevinsko zemljiše, koje se nalazi u Gornjem Stenjevcu, u mirnoj uličici Mesekov put, a s koje se pruža predivan pogled na grad. Čestica je površine 1134 m2, a dijeli se na dva dijela - građevinski dio i zeleni pojas.

Dio čestice koji se nalazi u građevinskoj zoni ima površinu 417 m2. Na njemu se smije graditi 130 m2 tlocrtno, tj. GBP 360 m2, i to na 3 nadzemne etaže, pri čemu se treća etaža oblikuje kao potkrovlje ili uvučeni kat.

Idealna je prilika za izgradnju obiteljske kuće ili urbane vile s najviše 3 stana, od kojih svaki stan mora imati osigurana 2 parkinga po stanu (jedan od ta dva mora biti u garaži).

Voda i struja se nalaze tik uz ogradu parcele. Mir, tišina, okruženost zelenilom, te panoramski pogled na grad, ono su što čine ovo zemljište atraktivnim!

Cijena nije fiksna.

Za zemljište postoji projekt "Analiza građevne čestice", koji je moguće dobiti na uvid na zahtjev.

Agencijska provizija za kupca iznosi 2% kupoprodajne cijene, a ista uključuje izradu predugovora, kupoprodajnog ugovora, uknjižbu prava vlasništva, kao i prijenos režijskih troškova. Za sve ostale upite, obratite nam se s povjerenjem!

Molimo zvati u radno vrijeme: ponedjeljak - petak 9:00 - 18:00h
Značajke
Ugovor
Prodaja
Vrsta
Građevinsko zemljište
Površina
1.134 m²
Ostale karakteristike
  • Priključak za struju
  • Priključak za vodu
Informacije o cijeni
Cijena
€ 100.000
Cijena po m²
88 €/m²
Tlocrt
Otkrijte svaki kutak nekretnine
+17
Dodatne mogućnosti

Obratite se oglašivaču

Ili