Građevinsko zemljište za Prodaja

€ 415.000
317 m²

Bilješka

Oglas ažuriran 25. 03. 2026.
Opis

referenca: 3-72950

Trešnjevka-Sjever, Rudeš | Građevinsko zemljište 317 m2, 3 stana

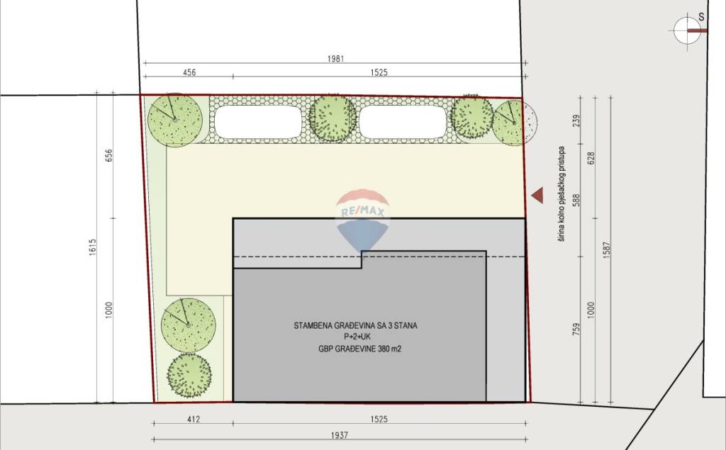
Zagreb, Rudeš, Gaboška ulica – građevinsko zemljište s idejnim rješenjem za 3 stana (GBP ~380 m²).

Prodaje se atraktivno građevinsko zemljište u Gaboškoj ulici (Rudeš) s idejnim rješenjem za manju modernu stambenu zgradu s ukupno 3 stana.

Prema idejnom rješenju:
- površina parcele: 317 m²
- planirani objekt: P + 2 + uvučeni kat, ukupno 3 stambene jedinice
- ukupno planirano parkiranje: 6 parkirnih mjesta (na čestici)

STAN A (1. kat): cca 95 m² + balkon 11 m²
STAN B (2. kat): cca 95 m² + balkon 11 m²
STAN C (uvučeni kat / penthouse): cca 80 m² + terasa 38 m²

Infrastruktura:
sva infrastruktura na terenu / do parcele (struja, voda, plin i ostalo – priključci dostupni uz zemljište)

Lokacija:
Rudeš - jedna od najtraženijih mikrolokacija zapadnog dijela Zagreba, nudi odličan balans između mirnog obiteljskog okruženja i svakodnevne gradske praktičnosti. Kvart je posebno atraktivan kupcima koji žele živjeti u ugodnom rezidencijalnom dijelu grada, a pritom imati brzu povezanost s glavnim prometnicama, školama, vrtićima, trgovinama, sportskim sadržajima i svim važnim sadržajima za kvalitetan obiteljski život.

Upravo zato Rudeš kontinuirano privlači obitelji, mlade kupce i investitore koji prepoznaju vrijednost lokacije na kojoj se moderna novogradnja vrlo dobro pozicionira na tržištu. Blizina Jaruna, dobra prometna povezanost i sve izraženija potražnja za manjim stambenim zgradama čine ovu mikrolokaciju iznimno praktičnom, poželjnom i dugoročno tržišno sigurnom.

Mogućnost kupnje putem kredita. Vlasništvo 1/1.

ID CODE: 3-72950

Danilo Singer
Prodajni predstavnik
Mob: +385 91 641 7009
Tel: +385 1 670 1704
E-mail: d.singer@remax-centar.hr
remax-centarnekretnina.com
Značajke
Ugovor
Prodaja
Vrsta
Građevinsko zemljište
Površina
317 m²
Informacije o cijeni
Cijena
€ 415.000
Cijena po m²
1.309 €/m²
Tlocrt
Otkrijte svaki kutak nekretnine
+11
Dodatne mogućnosti

Obratite se oglašivaču

Ili